От космическия полигон Кейп Канаверал в щата Флорида беше изстрелян най-модерният досега метеорологичен спътник - част от програма на стойност 11 милиарда долара за революционизиране на прогнозите за времето, предаде Асошиейтед прес.
Това е първият от серия от четири геостационарни метеорологични спътника ново поколение, способни да следят в почти реално време формирането на бури над американския континент и да правят много по-точни прогнози, отбелязва Франс прес.
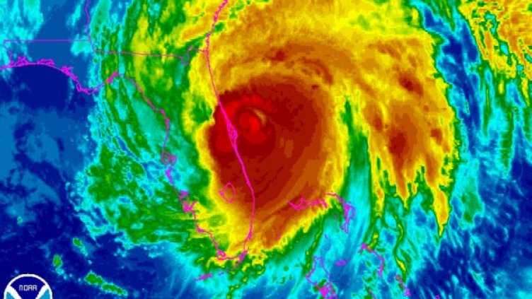
Сателитът GOES-P (Геостационарен експлоатационен спътник за наблюдение на околната среда) ще изпраща изображения от развитието на времето и на най-опасните бури с честота от 5 минути до 30 секунди.
Апаратът беше изведен в орбита на височина около 30 000 км от ракета "Атлас 5" на компания "Юнайтид лонч ълайънс". По-късно той ще се издигне самостоятелно до геостационарната си орбита на около 35 700 км, посочва ТАСС.
Ще постигнем огромно подобрение в сравнение със сегашните ни възможности за прогнозиране на времето и то само за няколко месеца, отбеляза метеорологът Тод Макнамара от станцията на американските ВВС в Кейп Канаверал.
НАСА и американската Национална агенция за океански и атмосферни изследвания (NOAA), които си сътрудничат в тази програма, планират да инвестират общо около 11 млрд. долара в нея. Новите сателити ще заменят сегашните, които не са обновявани сериозно от 40 години.
Изведеният снощи спътник струва около 1 млрд. долара и е построен от американската компания "Локхийд Мартин".
Той може да следи урагани, торнада, наводнения, облаци вулканична пепел, горски пожари, гръмотевични бури и дори слънчеви изригвания.
/БТА/

Хакнати пътни камери са позволили наблюдение и локализация на Али Хаменей
Уолстрийт затвори със смесени настроения в понеделник
През февруари БФБ не удържа оптимизма от присъединяването на България към еврозоната
Глобалните кредитни пазари са притиснати от войната и изкуствения интелект
ЕС обмисля да конфискува петрола в задържаните танкери от "сенчестия флот"
Защо Иран не трябва да разчита на Русия и Китай да му се притекат на помощ
Топ храни с най-високо съдържание на магнезий
"Потърсете укритие и се скрийте": САЩ евакуираха персонала на посолството си в Йордания
Късна емисия
Близкият изток влиза в най-напрегнатия си момент от десетилетия
Чутовна издънка! Реал се сгромоляса срещу Хетафе
Барселона - Атлетико Мадрид
Комо - Интер
Нов договор! Юве вдигна парите на любимец на Спалети
Льоклер за ожени за красавица, вози я в бижу на Ферари + СНИМКИ
Реал Мадрид трепери: Мбапе е аут заради коляното!
Дневен хороскоп за 3 март, вторник
Късмет и пари за 4 зодии през март – кои са те?
Приятна изненада на борда: мартеници за пътниците на „България Еър“
Месечен хороскоп за март 2026
Участвайте в пролетните игри на ХИТ Макс за любители градинари
„Майчин дом“ провежда безплатни консултации за ендометриоза през март
"Зелено движение": Готви се застрояване на гори от "заменки" край плажа на Крапец
Митрофанова се качи на връх Шипка и се скара на служебното правителство на Гюров
Илиан Илиев: Най-силното оръжие на „Черно море“ е единството
Йотова успокоява: Няма опасност пред националната сигурност на България
И тази година се очаква скок на цените на цветята преди 8 март
„Хъбъл“ пада: Легендарният телескоп може да изгори в атмосферата по-рано от очакваното
Установено е постоянно покачване на въглеродния диоксид в човешката кръв
Най-ранните рисунки са били много повече от случайни знаци
НАСА ще може да строи сгради на Луната чрез прах и лазерен 3D печат
Експеримент на МКС доказва: Микроби могат да добиват ценни метали в орбита
Зашеметяваща снимка: 3I/ATLAS се приближава към Юпитер